Per Town Planner Sarah Raposa, “A representative for the plaza will be going to the planning board for informal review on Monday, July 20th.”


Per Town Planner Sarah Raposa, “A representative for the plaza will be going to the planning board for informal review on Monday, July 20th.”


Medfield Select Board member
I started this blog to share the interesting and useful information that I saw while doing my job as a Medfield select board member. I thought that my fellow Medfield residents would also find that information interesting and useful as well. This blog is my effort to assist in creating a system to push the information out from the Town House to residents. Let me know if you have any thoughts on how it can be done better.
For information on my other job as an attorney (personal injury, civil litigation, estate planning and administration, and real estate), please feel free to contact me at 617-969-1500 or Osler.Peterson@OslerPeterson.com.
| Amy Cohen on Delineator Flexposts – t… | |
| Zach on Warrant Committee’s slid… | |
| Donna Knott on Reading for “Read Across… | |
| Lester Cohen on Town’s Buildings Require… | |
| Select Board member… on Black Out at Budget Works… |
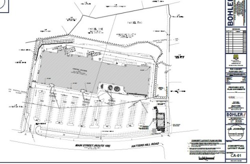
One of Medfield’s enduring charms is the relative absence of fast food chain restaurants and, those that are here (Subway, Papa Gino’s) are tucked unobtrusively into modest sites. A Chipotle right out on 109 is a thumb in the eye of everyone who appreciates our town’s visual appeal.
My suspicion is one or more of the shops in the center of town will not survive the aftermath of Covid-19. Can Chipotle be steered into an existing site that better fits with the fabric of the town?
LikeLike
Awesome news. If you have a problem with Chipotle coming to Medfield, then you’re the problem.
LikeLike
Is there a way to have them design the building so it blends in better with the town?
LikeLike
The town does not have design review, which is how one would get real tight control over the appearances of new structures. However, if the construction is not as of right, then the planning board and/or Zoning Board of Appeals may have the ability to ask for and get design changes.
The Cumberland Farms building façade was greatly dictated by the fact that it was both in a historic district, which gave the Medfield Historic District Commission control over exterior appearances, and because it needed a permit from the Zoning Board of Appeals. The car wash building was also permitted by the Zoning Board of Appeals. When I wrote the initial ZBA decision for the car wash and for the Cumberland Farms building, I tried to write in design/appearance requirements and controls. I think I consulted David Sharff for architectural ideas and Mike Lueders for planting requirements.
LikeLike
I agree with Neal. Medfield’s positive small town charm has always had its challengers from food chain stores which truly do not contribute enough commercial tax dollars to off set the cost in loss of real estate appeal. This “charm” will fade eventually if we keep the door open. A new concrete box in the Shaw’s parking lot does not justify the cost.
LikeLike